Pozemek v obci Praha - Slivenec, okres Hlavní město Praha

V Lipkách, Praha | okr. Praha-hlavní město

Dražba před
449
dny
Obrázek dražby
Obrázek dražby
Obrázek dražby
Obrázek dražby
Obrázek dražby
Obrázek dražby

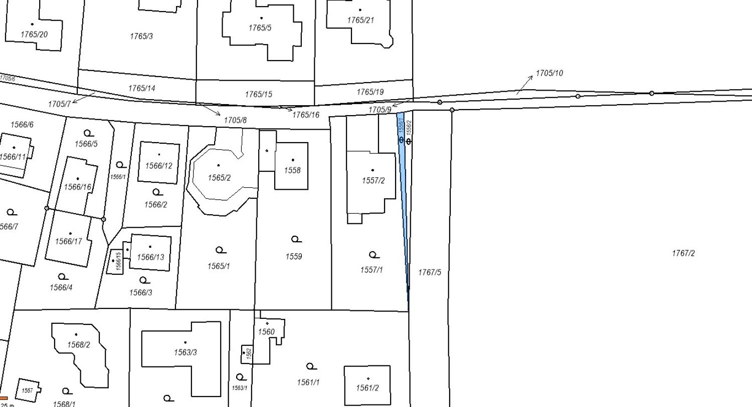
Jedná se o pozemek o výměře 59 m2 v obci Praha - Slivenec, okres Hlavní město Praha.

Datum dražby: 2024-12-18 11:20:00.0

Licitace č.j. 020/2024-D,4OD

Odhadní cena: 418000,- Kč

Vydraženo za: 190000,- Kč

Elektronická dražba č. 020/2024-D,4OD

Pro aktivní účast na dražbě musíte splňovat body níže, nebo můžete dražbu sledovat jako divák.

 

Smlouva
Zápis do dražby
Sledovat, zobrazit historii nebo účastnit se dražby můžete pouze po přihlášení. Nemáte-li účet, zaregistrujte se. Nemáte-li účet, zaregistrujte se.

Prodávající

EURODRAŽBY.CZ a.s.

EURODRAŽBY.CZ a.s.,
Čimická 780/61, Praha 8, 18100

+420234769000
info@eurodrazby.cz



Všechny dražby prodávajícího

Této dražby není možné se fyzicky účastnit. Probíhá pouze elektronicky na webovém serveru www.eurodrazby.cz

Tato nemovitost se prodává formou snižování a licitace (AS).

  • Jistina činí 40000,-
  • Dražit se začíná na vyvolávací ceně, která činí 143000,-
  • Postupuje se směrem dolů (cena nemovitosti se snižuje)
  • Cena se snižuje o částku 12000,- každých 5 min.
  • Minimální kupní cena je stanovena na 100000,-
  • Účastník, který první učiní nabídku, zastaví snižování ceny nemovitosti
  • Každá další nabídka musí být vyšší, než nabídka předchozí
  • Výše minimálního příhozu je stanovena na 10000,-
  • Účastník, který učiní nejvyšší nabídku, si nemovitost za tuto cenu koupí
  • Dražba bude trvat minimálně 30 min
  • Příhoz v posledních 5 min. oddálí konec dražby o 5 min.

Informace o nemovitosti

Jedná se o pozemek o výměře 59 m2 v obci Praha - Slivenec, okres Hlavní město Praha. Rovinný pozemek p.č. 1556/1 je tvaru velmi úzkého protáhlého trojúhelníku o základně cca. 1,8 m a výšce 50 m, pozemek je vklíněn mezi pozemek zahrady p.č. 1571/1, u domu čp. 645 a pozemek ostatní plochy p.č. 1556/2. Na předmětném pozemku se nachází převážně zatravnění zahrady, při severní hranici do něj zasahuje část oplocení, uprostřed část dřevěného přístřešku dřeva. Nepatrná část, cca 1,8 m2 se nachází mimo oplocení a je zde vedena přípojka elektřiny.

Detailní informace o dražbě

  • Číslo: 020/2024-D,4OD
  • Stav: Dražba před 449 dny
  • Typ: Snížení a licitace, elektronická, dobrovolná dražba
  • Zahájení: 2024-12-18 11:20:00.0
  • Dražba potrvá: 30 min
  • Minimální kupní cena: 100000,- Kč
  • Dražební jistota: 40000,- Kč

Platba dražební jistoty

  • Číslo účtu: 43 - 3332660287
  • Kód banky: 0100
  • Částka 40000,- Kč
  • Variabilní symbol:
  • Specifický symbol: 10236
  • Poznámka: 18.12.2024
QR kód

Prohlídky

1. prohlídka: 2024-12-02 12:30:00.0

2. prohlídka: 2024-12-09 10:00:00.0

Informace k prohlídce: Místo první prohlídky se stanovuje před objektem veřejné dražby. Na druhou prohlídku je sraz zájemců před sídlem dražebníka, na adrese ul. Čimická 780/61, Praha 8.

Prohlídky se uskuteční na adrese V Lipkách, Praha. Pro účast na prohlídce není nutné se předem objednat!

Podrobnější informace o konání prohlídky doplníme nejpozději 3 dny před konáním prohlídky.